Our Smoky Mountain Lot Market is Finally Improving!!
In the past few days we have had offers on two nice lots by unrelated buyers. Although this isn't by any means a scientific sample, it does lend credence to the idea that our lot market is starting to come back, ever so slowly. For the first time in several years I am seeing the construction of a fair number of new homes, both residential and even vacation rental type. To be sure, the number of new vacation rental home starts is much smaller than that for residential type homes, but the fact that there are any is truly news.
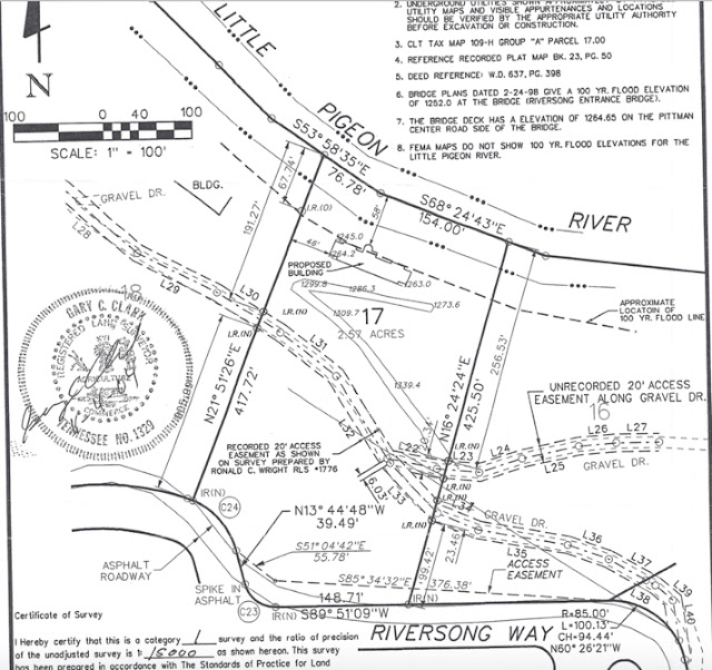
While there is still a sharp oversupply of lot & land listings, the tide does appear to be turning. If you want to have something truly special, take a look at this lot we just listed today that is on the west prong of the Little Pigeon River in one of the area's nicer developments, Riversong. Riversong is less than a 20 minute scenic drive from the center of Gatlinburg, but you would never know it. Located in picturesque and much quieter Pittman Center, Riversong has all underground utilities, large lots, and most important of all, some lots (including this one) also front on the stunningly pretty Little Pigeon River! With super pure water coming out of the Great Smoky Mountains National Park, the water cascades around large rocks forming white water creating lots of great sound too - Truly therapeutic!! Couldn't really get a good picture because of all the hardwood trees but this property and the river make a great combination - Here is the survey to show you what it looks like until the leaves drop off the trees in October:
While there is still a sharp oversupply of lot & land listings, the tide does appear to be turning. If you want to have something truly special, take a look at this lot we just listed today that is on the west prong of the Little Pigeon River in one of the area's nicer developments, Riversong. Riversong is less than a 20 minute scenic drive from the center of Gatlinburg, but you would never know it. Located in picturesque and much quieter Pittman Center, Riversong has all underground utilities, large lots, and most important of all, some lots (including this one) also front on the stunningly pretty Little Pigeon River! With super pure water coming out of the Great Smoky Mountains National Park, the water cascades around large rocks forming white water creating lots of great sound too - Truly therapeutic!! Couldn't really get a good picture because of all the hardwood trees but this property and the river make a great combination - Here is the survey to show you what it looks like until the leaves drop off the trees in October:

Comments